Новости
Личные финансы
Родители и дети
Здоровье
Ещё
Развлечения и отдых
Дом и уют
Спорт
Карьера
Авто
Технологии и тренды
Жизненные ситуации
Сберегаем вместе
Гороскопы
Почта
Поиск
Погода
ТВ-программа
Помощь
Отдых в России
Отдых за границей
Лайфхаки
Путеводители
Новости за 23 октября
23 октября
Октябрь
2025
пн
вт
ср
чт
пт
сб
вс
1
2
3
4
5
6
7
8
9
10
11
12
13
14
15
16
17
18
19
20
21
22
23
24
25
26
27
28
29
30
31
В Екатеринбурге открыли бронь на Новый год за десятки тысяч: где праздновать дешевле
Отдых в России
2 часа
назад
В Тамбовской области хотят ввести стандарты поведения на религиозных объектах
Отдых в России
3 часа
назад
Какие аэропорты мира стали лучшими в 2025 году
Отдых за границей
3 часа
назад
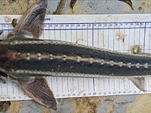
Впервые с начала XX века в Азовском море обнаружен шип
Отдых в России
3 часа
назад
Туристов отвезут за 7 тысяч рублей в Италию с юга России
Лайфхаки
3 часа
назад
Курорты Северного Кавказа объединят в один бренд
Отдых в России
3 часа
назад
Китайский электропоезд разогнали до рекордных 453 км/ч
Отдых в России
3 часа
назад
"Петербургский десерт" и "Петербургский завтрак" выбрали в Северной столице
Отдых в России
3 часа
назад
Названы лучшие авиакомпании мира
Отдых за границей
3 часа
назад
В России высказались о запрете ЕС на оказание туруслуг в стране
Отдых в России
4 часа
назад
Шедший по следу Усольцевых гид обратил внимание на пугающую странность в поведении Сергея и Ирины: "Не могли не понимать"
Отдых в России
4 часа
назад
Назван лучший горнолыжный отель России
Отдых в России
4 часа
назад
В Казахстане запущен новый электропоезд Burabay Express с тремя классами обслуживания
Лайфхаки
4 часа
назад
Сотовые операторы просят смягчения для иностранцев
Лайфхаки
4 часа
назад
Фишинг в период «черной пятницы»: чего опасаться любителям распродаж
Лайфхаки
4 часа
назад
Новости партнеров
1
2
3
4
5